Give Me A Call: 250-702-5950

1405 Fisher Cobble Hill, BC V8H 0H7

1405 Fisher Rd

Offered at: $1,150,000

MLS®: 1014467

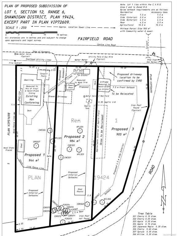
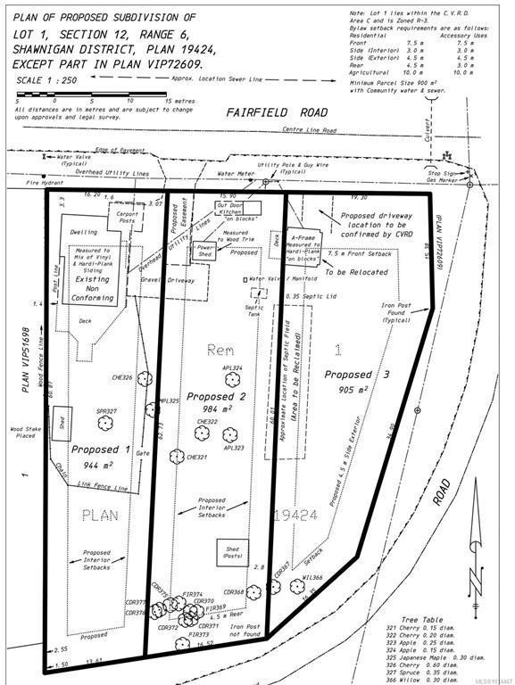
Small-to-medium scale development property in Cobble Hill village (fully serviced). Desirable location in the village center with preliminary approval for a 3-lot subdivision per current zoning (R3). Updated 2B/1B home to support financing and increase lot value post subdivision (can function as primary or secondary/rental – previously rented for $2,200/mo.). Additionally, parcel rezoning to “Compact Suburban” in CVRD’s new OCP, due for adoption this fall. CS zoning supports up to 8 lots (333m2 lots vs. 900m2), duplexes, or multi-unit dwellings. Ideal site conditions – level/cleared, excellent excavation/drainage & no known constraints. Optimal sun exposure with private south-facing yards, mature landscaping, and high-producing fruit trees (cherry x4, apple, plum x2, pear). Outbuildings include 2x utility/electrical sheds, a pine-finished A-frame/office w/ vaulted ceilings, and a detached studio (15x18) – outbuildings can be included or removed at Sellers expense.

Quick Stats

Key Home Data

0
BATH(S)
BED(S)
Contact for
SQFT
YES
SHOWING AVAILABLE
Property Type:
Commercial Sale
Home Ownership:
Freehold

Payment Calculator

Calculate your monthly mortgage payment.

Mortgage Amount
$
Amortization
years
Payment Freq.
Interest Rate
%
Calculating...

All About the Details

See specific details below.

Neighbourhood Statistics

Get to know your neighbourhood.

Similar Properties

Other properties you might like.

Search by Keyword:
« prev 1 2 3 4 5 8 9 10 11 12 next »

Request a Showing

Have questions about this property?

Contact Scott Fraser
About This Property.


Office: 250-702-5950