Give Me A Call: 250-702-5950

3353 Salsbury Saanich, BC V8P 3K4

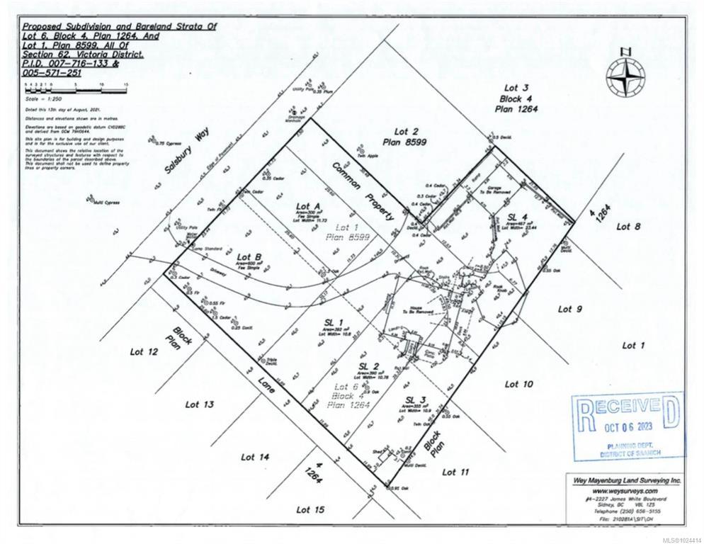
3353 Salsbury Way

Offered at: $2,859,000

MLS®: 1024414

An exceptional development opportunity in the heart of Saanich! This conditionally approved 6-lot subdivision offers builders and developers the chance to create a community in one of Greater Victoria’s most desirable municipalities. Situated on a 30,000 sq ft + parcel with lots ranging from 300 to 500 square meters, the site is ideally located near parks, schools, shopping, and transit, while only minutes to Uptown and downtown Victoria. Preliminary work has been undertaken, and the concept plan envisions six well-proportioned residential lots, perfectly suited for single-family homes or duplexes. Buyers to verify subdivision potential with the District of Saanich. Whether you’re looking to develop and build, or sell as raw land, this property offers rare potential in a sought-after location.

Quick Stats

Key Home Data

3
BATH(S)
4
BED(S)
Contact for
SQFT
YES
SHOWING AVAILABLE
Property Type:
Residential
Home Ownership:
Freehold

Payment Calculator

Calculate your monthly mortgage payment.

Mortgage Amount
$
Amortization
years
Payment Freq.
Interest Rate
%
Calculating...

All About the Details

See specific details below.

Neighbourhood Statistics

Get to know your neighbourhood.

Similar Properties

Other properties you might like.

Search by Keyword:
« prev 1 2 3 4 5 8 9 10 11 12 next »

Request a Showing

Have questions about this property?

Contact Scott Fraser
About This Property.


Office: 250-702-5950